Lo atraparon en Ezeiza.
Había tragado más de 80 cápsulas con cocaína para no ser detectado, pero falló Había tragado más de 80 cápsulas con cocaína para no ser detectado, pero falló
Los agentes especializados de la Dirección General de Aduanas evitaron el contrabando de cocaína a Europa: un ciudadano brasilero llevaba 84 cápsulas de cocaína en su organismo. El descubrimiento fue en el Aeropuerto Internacional de Ezeiza.
El operativo comenzó cuando el hombre se presentó para realizar el check in de un vuelo de Air France rumbo a Málaga vía París. Dado el estado de nerviosismo que presentaba el pasajero, el personal aduanero sospechó que algo ocultaba.
También te puede interesar:
Durante la entrevista el ciudadano de Brasil no logró explicar el motivo del viaje ni quien había comprado el pasaje aéreo. Además, dado el trayecto que realizaba, los agentes pensaron que podría estar ocultando drogas.
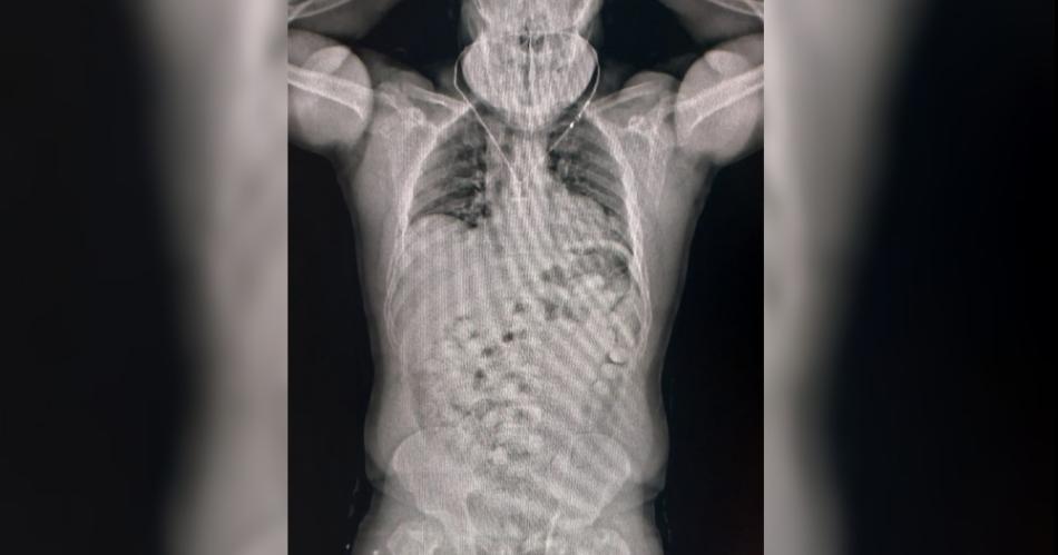
Ante todos los indicios, los guardas inspeccionaron su equipaje pero no encontraron nada. Dado que las dudas persistían, decidieron utilizar otro método de control: el body scan. Las imágenes confirmaron las sospechas del personal aduanero dado que mostraban cuerpos extraños.
Ante la posibilidad de que se tratase de un método de ocultamiento de estupefacientes, se internó al pasajero en un centro médico y lograron confirmar que había ingerido cápsulas con droga. En total eran 84 y contenían 1134 gramos de cocaína que en el país de destino se podría vender a USD 51 mil.
El hombre quedó detenido y la droga fue secuestrada por la Aduana.








